Chaussée D'asse - Assesesteenweg 153, 7850 Enghien
Vraagprijs: € 175.000

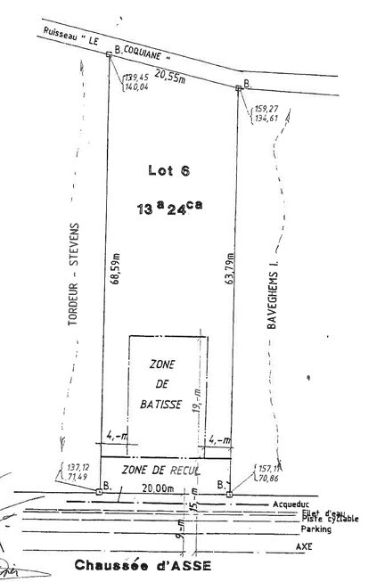
Omschrijving

Goed gelegen bouwgrond

Goed gelegen bouwgrond te koop voor open bebouwing.

20 meter aan de straat, 65 meter diep.

Contacteer ons voor de bouwvoorschriften.


Algemeen

Adres:Chaussée D'asse - Assesesteenweg 153
Enghien
Referentie:RS/0055/TK/05/2025
Vraagprijs:€ 175.000/totaal
Type:Grond
Beschikbaar vanaf:Bij akte
Perceeloppervlakte:1.324 m²
Perceelbreedte:20 m
Perceeldiepte:65 m
Type constructie:Traditioneel
Gevelbreedte:12 m

Comfort

Snelweg:Ja
Treinstation:Ja
Bushalte:Ja
Winkel:Ja
School:Ja
Kinderopvang:Ja
Bank:Ja
Ontspanning:Ja
Restaurant:Ja

Kadastrale gegevens

Niet geïndexeerd K.I.:€ 17
Kadastrale benaming:Bouwgrond
Kadastrale Nummers:A 347 W P0000
Kadastrale Oppervlakte:1.324 m²

Informatieplicht

Voorkooprecht:Neen
Dagvaarding en herstelvordering:Geen rechterlijke herstelmaatregel of bestuurlijke maatregel opgelegd
Overstromingsgevoelig:Niet meegedeeld
Overstromingsgebied:Niet meegedeeld
Erfgoed:Niet meegedeeld
Ruimtelijke ordening: Ok

Ligging

Neem vrijblijvend contact met ons op!

Wens je meer informatie of wil je een eigendom bezoeken?
Contacteer ons dan vrijblijvend voor meer informatie en/of om een afspraak tot bezoek in te plannen. 
Wanneer wij je aanvraag goed ontvangen hebben, nemen we zo snel als mogelijk contact met je op! 


U moet akkoord gaan met het privacybeleid van deze website
* Verplicht in te vullen
Niet gevonden wat u zocht? Schrijf u dan vrijblijvend in op onze nieuwsbrief en blijf op de hoogte van ons recentste aanbod.
Schrijf u in Contacteer ons vrijblijvend!
U gebruikt een verouderde browser. Upgrade nu naar een moderne browser om ten volle gebruik te kunnen maken van alle functies van onze site:
Chrome |  FireFox |  Opera |  Safari |  Microsoft Edge
Terug naar boven
Sluit menu Woonkantoor