Zwarte Molenstraat 19, 1671 Pepingen
Vraagprijs: € 720.000

Omschrijving

Te renoveren woning en 2 bouwgronden

Rustig gelegen woning met aanhorigheden (stallingen) te koop.

Indeling van de woning: kelderverdieping (85 m²): 3 kelderruimtes; gelijkvloers (109 m²): woonkamer, salon, eetkamer, keuken, badkamer, toilet, hal; verdieping (85 m²): nachthal en 4 slaapkamers (20 m², 20 m², 14 m² en 10 m²); dakverdieping: zolderruimte.

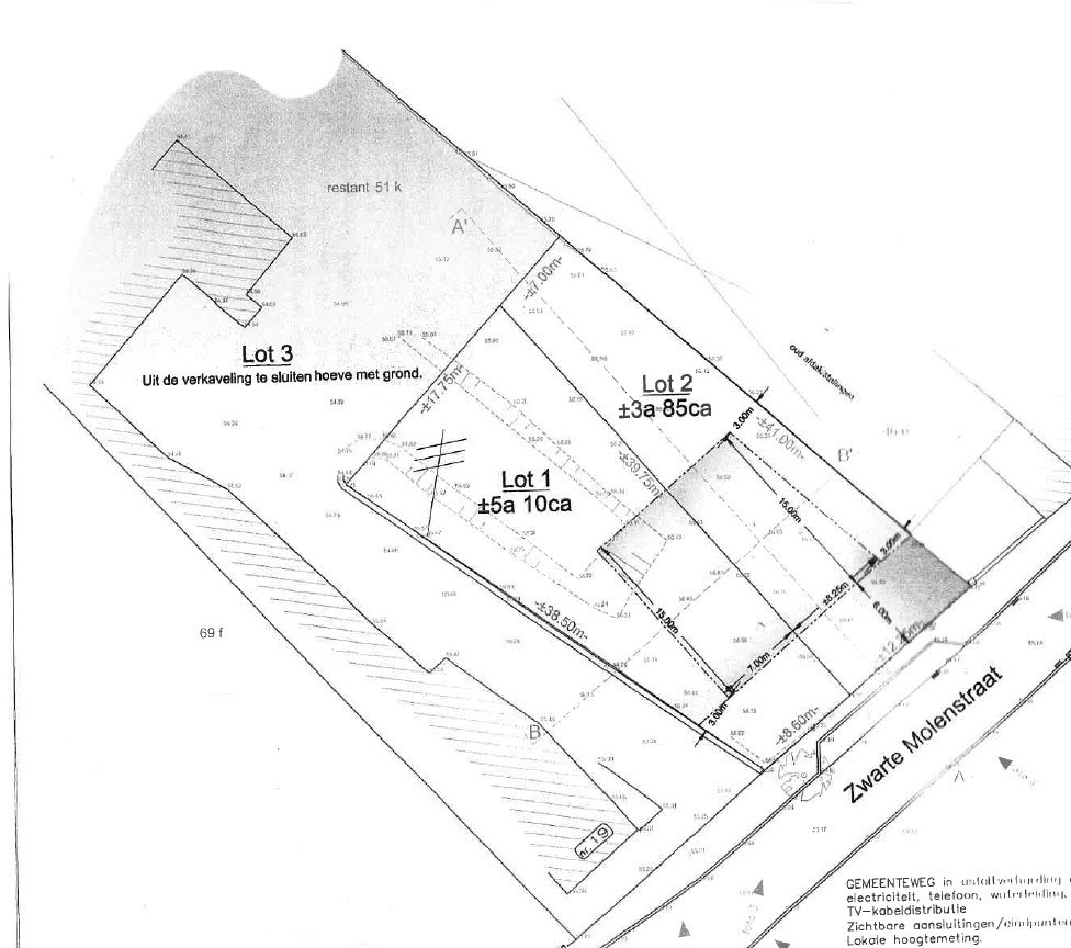
Achter de woning bevinden zich meerdere stallingen en opslagplaatsen. Aan de straatzijde bevinden zich 2 bouwgronden (510 m³ en 385 m²) voor halfopen bebouwing. Beide gronden worden samen verkocht voor € 300.000,00.

De woning is te renoveren (EPC F, niet asbestveilig, elektriciteit is niet conform).


Algemeen

Adres:Zwarte Molenstraat 19
Pepingen
Referentie:RS/0093/TK/09/2025
Vraagprijs:€ 720.000/totaal
Type:Woning
Beschikbaar vanaf:In overleg
Perceeloppervlakte:3.882 m²
Bebouwde opp.:109 m²
Bewoonbare opp.:194 m²
Type constructie:Traditioneel
Bouwjaar:1948
Bouwlagen:2

Indeling

Slaapkamers:4
Badkamers:1
WC:1
Woonkamer:55 m²
Keuken:20 m²
Berging:Ja
Zolder:Ja
Kelder:85 m²
Tuin:Ja

Comfort

Bushalte:Ja
Winkel:Ja
School:Ja
Kinderopvang:Ja
Bank:Ja
Ontspanning:Ja
Restaurant:Ja
Raamwerk:Aluminium
Dak:Zadeldak
Dakbedekking:Dakpannen
Gevel:Baksteen
Fundering:Kelder
Beglazing:Hoogrendementsglas
Verwarming:Stookolie
Verwarmd water:Stookolie

Kadastrale gegevens

Niet geïndexeerd K.I.:€ 1.006
Kadastrale benaming:handelshuis
Kadastrale Nummers:A 51 K P0000
Kadastrale Oppervlakte:2.987 m²

Informatieplicht

EPC Certificaat Nr.:20250914-0003685580-RES-1
EPC Index:643,00 kWh/(m² jaar)
Energielabel:F
Renovatieplicht:Ja
Voorkooprecht:Neen
Verkavelingsvergunning van toepassing:Neen
Stedenbouwkundige bestemming:Woongebied met landelijk karakter
Dagvaarding en herstelvordering:Geen rechterlijke herstelmaatregel of bestuurlijke maatregel opgelegd
Overstromingsgevoelig:Geen overstromingsgevoelig gebied
Overstromingsgebied:Geen afgebakende zones
Overstromingskans perceel (P-score):  D
Overstromingskans gebouw (G-score):A
Erfgoed:Geen beschermd erfgoed
Deze eigendom kan onderhevig zijn aan de renovatieverplichting die door de Vlaamse overheid wordt opgelegd voor residentiële gebouwen. Consulteer voor meer informatie de website van het Vlaams Energie- en Klimaatagentschap via https://www.vlaanderen.be/een-woning-kopen/renovatieverplichting-voor-residentiele-gebouwen
Ruimtelijke ordening: Ok

Ligging

Neem vrijblijvend contact met ons op!

Wens je meer informatie of wil je een eigendom bezoeken?
Contacteer ons dan vrijblijvend voor meer informatie en/of om een afspraak tot bezoek in te plannen. 
Wanneer wij je aanvraag goed ontvangen hebben, nemen we zo snel als mogelijk contact met je op! 


U moet akkoord gaan met het privacybeleid van deze website
* Verplicht in te vullen
Niet gevonden wat u zocht? Schrijf u dan vrijblijvend in op onze nieuwsbrief en blijf op de hoogte van ons recentste aanbod.
Schrijf u in Contacteer ons vrijblijvend!
U gebruikt een verouderde browser. Upgrade nu naar een moderne browser om ten volle gebruik te kunnen maken van alle functies van onze site:
Chrome |  FireFox |  Opera |  Safari |  Microsoft Edge
Terug naar boven
Sluit menu Woonkantoor